
- MLS® #: RX-11065973
- Monmouth Road
- West Palm Beach, FL 33413
- $1,800,000
- 6 Acres
- Land

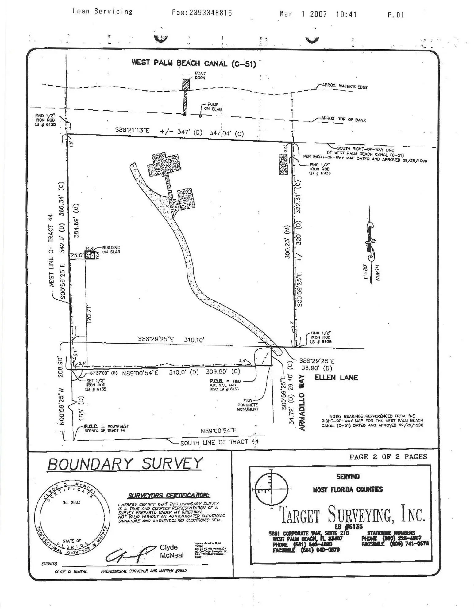
Vacant land. Incredible 5.04-acre waterfront property featuring approx. 3.04 acres of upland and a 2.00-acre private road easement. Fully fenced and gated, with 600 feet of water frontage on the C-51 Canal, a navigable waterway maintained by the U.S. Army Corps of Engineers. Riparian rights included, allowing the opportunity to build a private dock and keep your boat in your backyard. The deeded 60-ft private road offers rare privacy and control. Ideal for adding a gated entrance. No HOA. Located near Southern Blvd and the Turnpike, just 15 mins to PBI Airport. Sail to Lake Osborne. A truly one-of-a-kind, build-ready site in a rapidly developing area. Survey can be found under ''documents''.
View Virtual Tour
If you are looking for some vibrant nightlife in West Palm Beach then visit Dr. Feelgood's Rock Bar and Grill. This colorful nightclub was created by Motley Crue’s front man Vince Neil and is a exciting venue for those looking for some great West Palm Beach nightlife.
One of West Palm Beach's favorite venues for a cold drink and some nice South Florida relaxation is E.R. Bradley's Saloon. This open air restaurant is a frequent stop for both locals and tourists.
West Palm Beach is home to Lion Country Safari. It is a 500-acre cage less zoo that has thousands of free roaming animals. It would make a great stop for the family if you are visiting West Palm Beach.
All listings featuring the BMLS logo are provided by Beaches MLS Inc. Copyright 2025 Beaches MLS. This information is not verified for authenticity or accuracy and is not guaranteed.
© 2025 Beaches Multiple Listing Service, Inc. All rights reserved.
Listing information last updated on October 19th, 2025 at 5:45pm CDT.